ホーム > 屋根からの雨漏りは火災保険が適用されるか?神戸市東灘区で調査…

屋根からの雨漏りは火災保険が適用されるか?神戸市東灘区で調査
更新日:2024年3月21日
皆さんお疲れ様です!街の屋根やさん神戸西店です。今日は、神戸市東灘区で行った「屋根からの雨漏りを火災保険に適用されるかの調査」についてご紹介していきましょう(^_^)/戸建てにお住まいの方ですと、多くの方が「火災保険」に加入されていると思います!
基本的にあまり使用しない保険ですのでご存じの方も少ないとは思いますが、屋根からの雨漏りなどでも火災保険が適用される場合があるんですよ。必ずとは言えませんが、火災保険へ申請するのは無料ですので気になる方はお気軽にご相談ください!!
それでは、神戸市東灘区で屋根からの雨漏りが火災保険適用となるか、調査をしていきたいと思います(^_^)/まずは、建物情報!!・平屋木造住宅・築年数47年・屋根材トタン屋根 一部ポリカ波板・阪神淡路大震災に葺き替え工事を実施この様な感じの建物で、現在は雨漏りにより室内の天井に大きな雨シミが出来ている状態でしたね。
雨漏りの原因は本当に屋根なのか??確証を得るために、屋根裏へと潜入しました(^_^)/
というのも、雨漏りの原因は屋根以外に外壁や配管からの漏水なども考えられるからですね!
雨漏りしている屋根裏を調査したところ、屋根下地に雨漏りの形跡が確認できたため今回の雨漏りは屋根からと断定できました。
それでは、屋根からの雨漏りが火災保険に適用されるのか調査していきましょう(^_^)/コチラが、雨漏りしているトタン屋根となりますが、真ん中のポリカ波板を囲むように複雑な形状で設置されております。
このトタン屋根自体は雨漏りしにくい屋根材なのですが、屋根の形状が複雑であることから雨漏りするリスクは高くなると考えられますね!
屋根からの雨漏りはトタン屋根かポリカ波板のどちらにあるのでしょうか??今回のお客様は火災保険を使用したいということでしたので、これを実現するには屋根材が自然災害により破損していなければいけません。
見た感じで言うと、屋根材が剥がれていたり飛んでいる様子は見受けられませんね、、、
屋根からの雨漏り原因が調査により判明!【お見積もり】
見た目で雨漏りの原因が分からない場合は、散水調査を行っていきます(^_^)/雨漏りしそうな場所に実際の雨を想定して試験的に散水する方法ですね!!
この調査を行い雨漏りの原因と分かった場所が、ポリカ波板と板金材との隙間でした。本来、この部分には吹き降りの雨が入らないように面戸材を入れるべきなのですが、入っていない状況で雨漏りしていたみたいですね。
そして、散水調査でもう一つの雨漏り原因を見つけました(^_^)/ポリカ波板を囲むように設置されていたトタン屋根の「谷」になりますね!
おそらくですが、経年劣化により屋根下の防水シートが破れているせいで、隙間から侵入した雨水が室内へと流れ込んだと推定できます。ということは、、、
基本的に経年劣化や施工不良が原因で雨漏りしているので、火災保険の適用は厳しいかと、、、
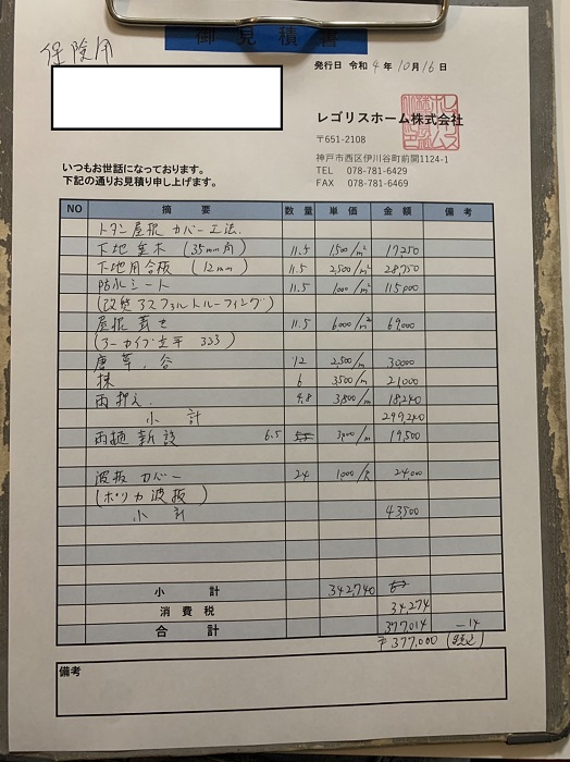
一応ですが、火災保険会社へ屋根修理のお見積もりを提出しました!(下書きですので手書きです)【お見積内容】 ※トタン屋根及びポリカ波板カバー工法・下地垂木(35mm角) 11,5㎡ 1,500/㎡ 17,250円・下地用合板(12mm) 11,5㎡ 2,500/㎡ 28,750円・防水シート 11,5㎡ 1,000/㎡ 11,500円・屋根葺き(立平) 11,5㎡ 6,000/㎡ 69,000円・唐草、谷板金 12m 2,500/m 30,000円・棟板金 6m 3,500/m 21,000円・雨押え板金 4,8m 3,800/m 18,240円・波板カバー 24尺 1,000/尺 24,000円小計342,740円 消費税34,274円 合計377,000円
火災保険は非常に便利な保険ですが、これを餌に詐欺まがいのことをしている業者もします!!
・「火災保険が必ず適用されるから、工事の契約をしてほしい」
・「火災保険を使用して無料で工事が出来る」
・「点検と称し屋根の一部を破損させ、火災保険を使用させようとする」
この様なことを行っている業者が、実際にいますのでご注意くださいね(>_<)
火災保険の正しい申請方法!!①屋根の一部が破損している場合、専門業者に点検依頼を行う②屋根が風災を受けたことを火災保険会社に連絡し必要書類を送ってもらう③専門業者に風災を受けた部分の写真と修理見積もりをもらう④火災保険会社に「写真・見積もり・必要書類」を郵送するこの様な感じで火災保険を申請していきます(^_^)/
この様な火災保険の申請代行は「完全無料」で行っていますので、お気軽にご相談ください!!
最後までご覧いただき、ありがとうございました!
それではまた、次のブログでお会いしましょう(^^)/
街の屋根やさん神戸西店にお問合せ頂くと、お客様のお悩みが解決できるかもしれません。
今日も1日お疲れ様でした!!
台風などの強風により瓦屋根がズレる
台風などの強風により屋根材の一部が飛散
台風などの強風により棟板金が飛散する
「小さい工事でもお願いできるのか?」「調査や見積もりに費用は掛からないのか?」「電話相談だけでも対応してくれるのか?」「遠方でも出張費なしで来てくれるのか?」兵庫県内なら大丈夫です!!何でも言うてください(^_^)
この記事を書いた加盟店
電話 0120-989-742
E-Mail machiyane@uehashi-kougyou.jp
レゴリスホーム株式会社
〒655-0044
兵庫県神戸市垂水区舞子坂3丁目17−5
第3春名ビル2F南号室
兵庫県の加盟店一覧
電話 0120-989-742
E-Mail machiyane@craifone.com
株式会社クライフワン
〒663-8184
兵庫県西宮市鳴尾町3丁目3−1 ハイム藤井2階D号室
電話 0120-989-742
E-Mail 808@ya-ne-himeji808.sakura.ne.jp
株式会社濱屋
〒671-1524
兵庫県姫路市揖保郡太子町東保365-4
電話 0120-989-742
E-Mail machiyane@uehashi-kougyou.jp
レゴリスホーム株式会社
〒665-0035
兵庫県宝塚市逆瀬川1丁目13−27
電話 0120-989-742
E-Mail machiyane@okabousui.co.jp
有限会社岡防水工業
〒674-0074
兵庫県明石市魚住町清水2051−8
電話 0120-989-742
E-Mail kakogawa@onishikawara.com
株式会社大西瓦
〒675-0012
兵庫県加古川市野口町野口20−14


街の屋根やさんが施工している様々な屋根工事と屋根リフォームの一覧をご紹介します。

お客様の不安を解消できるように、お問い合わせから工事の完成までの流れをご紹介しています。

街の屋根やさんが施工している様々な屋根工事と屋根リフォームの一覧をご紹介します。

お客様から寄せられた屋根に関する疑問を、当店スタッフが親身に回答しています。

弊社で行った施工事例をご紹介しています。詳細な説明と写真でわかりやすくお伝えします。

弊社の会社概要になります。街の屋根やさんとはこんな会社です。