ホーム > 高砂市で瓦屋根葺き替え工事の費用を知りたいお客様へ無料見積も…

高砂市で瓦屋根葺き替え工事の費用を知りたいお客様へ無料見積もり!
更新日:2025年2月4日
皆さんお疲れ様です!街の屋根やさん神戸西店です。今日は、高砂市で行った「瓦屋根葺き替え工事の費用を知りたいお客様への無料見積もり」をご紹介していきたいと思います(^^)/築年数が古くなり、屋根から雨漏りしてしまうと葺き替え工事をご検討される方も多いのではないでしょうか?
しかし、屋根葺き替え工事と言うのは使用する屋根材や面積によって費用が全く異なるため、定価と言うものはありません。会社によってもお見積もり金額は全く異なるため、今回は屋根の専門業者である街の屋根やさん神戸西店が今現在の葺き替え費用をぶっちゃけます!!
高砂市で屋根葺き替え工事の無料見積もりを行う現場紹介
コチラが、高砂市で瓦屋根の葺き替え工事をご検討されている現場になりますよ(^^)/建物構造は築40年の2階建て木造住宅で、屋根は釉薬瓦を葺いており外壁はモルタル壁に塗装仕上げのお家ですね!!
過去に屋根の補修工事で漆喰の打ち替えを行っているようですが、今現在雨漏りしているみたいです、、、
瓦屋根葺き替え工事で無料見積もりを行うには、実際に瓦屋根に上がり採寸及び調査をする必要があります(^^)/街の屋根やさん神戸西店では瓦屋根葺き替え工事の単価は決まっていますので、屋根の面積が分かるのであれば概算金額はお電話でもお答えできます。
しかし、雨漏りの状態や屋根の形状によって単価はある程度前後しますので、詳しい費用を知りたい方は屋根に昇らせてくださいね!!
この瓦屋根葺き替え工事をご検討されている現場ですが、瓦屋根に目立った外傷はありませんでした!!築40年ということですので、瓦屋根がキレイとは言えませんがズレている様子もありません。
それでも、屋根裏を点検すると屋根から雨漏りしているので原因は瓦屋根の下にある防水シートが劣化して破れているという事になります(>_<)
ひび割れている瓦屋根もありませんが、瓦屋根は古くなってくると隙間からどうしても雨が入ってきます(>_<)そのすき間から侵入した雨水を防水シートで保護するのですが、防水シートが劣化して破れていると室内へ雨漏りしてしまうので葺き替え工事が必須となるわけですよ。瓦屋根葺き替え工事は屋根工事の中でも最も費用の掛かる工事ですが、長年数でいると1回は必要な工事ですので、どこかのタイミングで踏ん切りをつけてくださいね!!
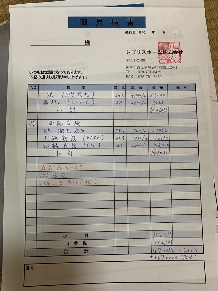
ここからは、高砂市のお客様へご提案した葺き替え工事のお見積もりをぶっちゃけていきましょう(^^)/(写真の見積書は下書きですので手書き)
【瓦屋根からルーガへの葺き替え工事・屋根面積79.1㎡】
①仮設足場 210㎡ 136,500円
②屋根葺き替え
既存瓦屋根撤去・処分 79.1㎡ 276,850円
下地垂木(35ミリ角) 79.1㎡ 87,010円
下地用合板(12mm) 79.1㎡ 102,830円
防水シート 79.1㎡ 79,100円
屋根本体(ルーガ鉄平) 79.1㎡ 514,150円
軒先水切り 41.1m 73,980円
ケラバ(同質役物) 5.01m 17,535円
次に続きます
棟(同質役物) 20.3m 81,200円
雨押え板金(シール工事含む) 3.01m 8,428円
③雨樋交換(半丸樋から角樋)
雨樋撤去・処分 54.9m 27,450円
軒樋新設(PC50) 31.9m 70,180円
竪樋新設(Y60) 23m 46,000円
合計金額 1,521,213円(税抜き)
ご成約ありがとうございましたm(__)m
無料見積もりを行った瓦屋根葺き替え工事【施工事例】
屋根葺き替え工事を行っていただくと15年間の工事保証が付いてきます(^^)/
2年に1回の無料点検も付いているので長期的に安心ですよ!!今お住いのお家やお勤め先の工場や事務所をこの先どうしていきたいかが重要で、それに見合ったご提案をすることが街の屋根やさん神戸西店の仕事だと思っております(*^^*)
まずは、お電話やメールにてお気軽にご相談ください!!
<関連記事>
・「街の屋根やさん神戸西店へのお問合せ」はコチラ>>>
この記事を書いた加盟店
電話 0120-989-742
E-Mail machiyane@uehashi-kougyou.jp
レゴリスホーム株式会社
〒655-0044
兵庫県神戸市垂水区舞子坂3丁目17−5
第3春名ビル2F南号室
兵庫県の加盟店一覧
電話 0120-989-742
E-Mail machiyane@craifone.com
株式会社クライフワン
〒663-8184
兵庫県西宮市鳴尾町3丁目3−1 ハイム藤井2階D号室
電話 0120-989-742
E-Mail machiyane@okabousui.co.jp
有限会社岡防水工業
〒654-0121
兵庫県神戸市須磨区妙法寺藪中ノ下1250
電話 0120-989-742
E-Mail 808@ya-ne-himeji808.sakura.ne.jp
株式会社濱屋
〒671-1524
兵庫県姫路市揖保郡太子町東保365-4
電話 0120-989-742
E-Mail machiyane@uehashi-kougyou.jp
レゴリスホーム株式会社
〒665-0035
兵庫県宝塚市逆瀬川1丁目13−27
電話 0120-989-742
E-Mail machiyane@okabousui.co.jp
有限会社岡防水工業
〒674-0074
兵庫県明石市魚住町清水2051−8
電話 0120-989-742
E-Mail kakogawa@onishikawara.com
株式会社大西瓦
〒675-0012
兵庫県加古川市野口町野口20−14


街の屋根やさんが施工している様々な屋根工事と屋根リフォームの一覧をご紹介します。

お客様の不安を解消できるように、お問い合わせから工事の完成までの流れをご紹介しています。

街の屋根やさんが施工している様々な屋根工事と屋根リフォームの一覧をご紹介します。

お客様から寄せられた屋根に関する疑問を、当店スタッフが親身に回答しています。

弊社で行った施工事例をご紹介しています。詳細な説明と写真でわかりやすくお伝えします。

弊社の会社概要になります。街の屋根やさんとはこんな会社です。